UC Berkeley
Intelligent Intersections
Total processed: 737591 intersections
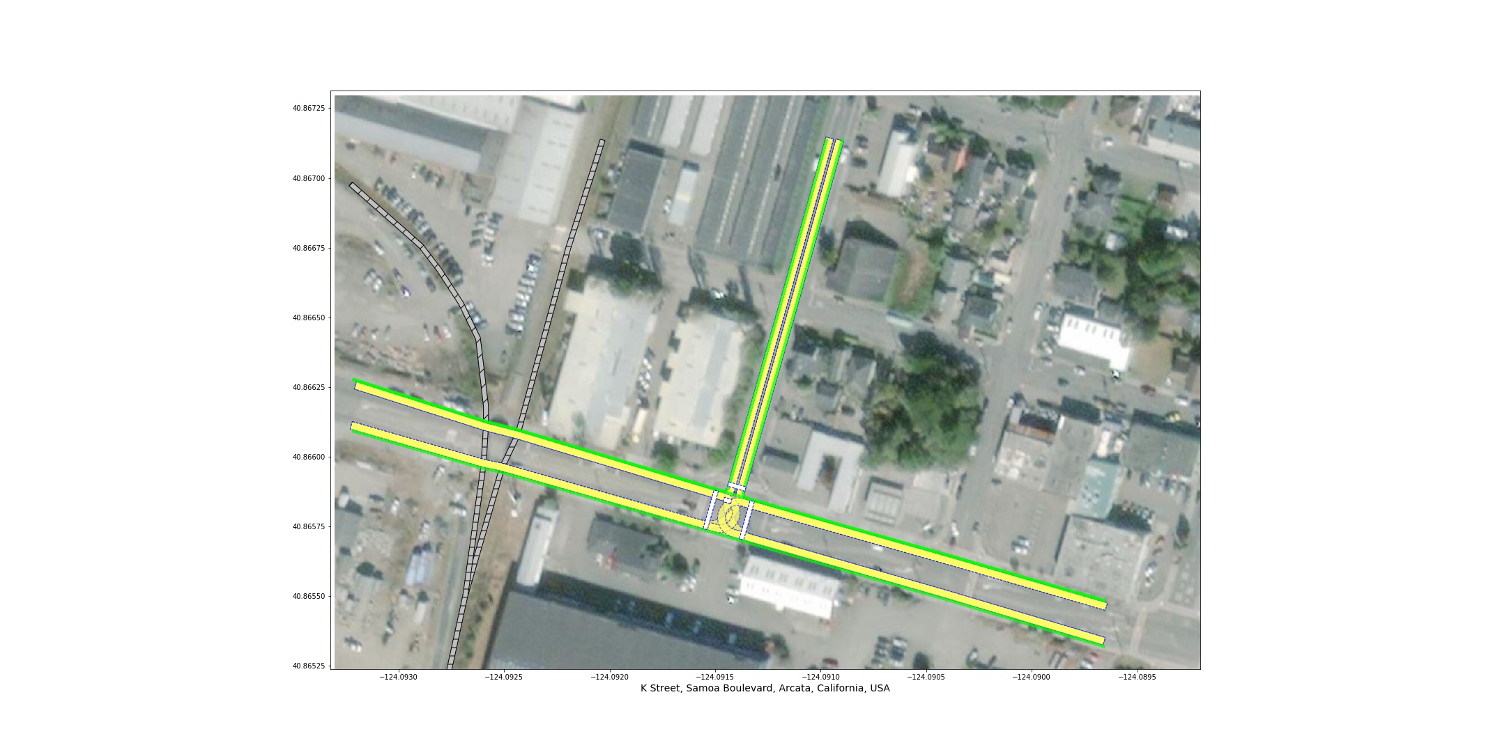
K_Street, Samoa_Boulevard, Arcata, CA, USA
- approach_counts = {'oneway': 2, 'twoway': 1, 'singleway': 0}
- approach_max_speed_limit = 35 mph
- approach_min_speed_limit = 25 mph
- approach_street_types = {'tertiary': 1, 'secondary': 1, 'cycleway': 3, 'track': 2}
- diameter = 16.808072128136644
- distance_to_next_intersection = 89.33738837627611
- download = https://iit-intersections.s3-us-west-1.amazonaws.com/USA/CA/Arcata/K_Street-x-Samoa_Boulevard.json
- exit_counts = {'oneway': 2, 'twoway': 2, 'singleway': 0}
- exit_max_speed_limit = 35 mph
- exit_min_speed_limit = 25 mph
- exit_street_types = {'tertiary': 1, 'secondary': 1, 'cycleway': 4, 'track': 2}
- max_angle = 91.14611927285222
- max_curvature = 0.0521562900055539
- max_number_of_lanes_in_approach = 1
- max_number_of_lanes_in_exit = 2
- min_curvature = 0.0
- min_number_of_lanes_in_approach = 1
- min_number_of_lanes_in_exit = 1
- number_of_approaches = 3
- number_of_bus/trolley_stops = 0
- number_of_center_bicycle_approaches = 0
- number_of_center_bicycle_exits = 0
- number_of_exits = 4
- number_of_railway_approaches = 2
- number_of_railway_exits = 2
- number_of_right_side_bicycle_approaches = 3
- number_of_right_side_bicycle_exits = 4
- number_of_tram/train_stops = 0
- pedestrian_signal_present = None
- shortest_distance_to_railway_crossing = 91.28279017955639
- signal_present = None
- stop_sign = None
- subway_station_present = no
- timestamp = 2020-06-10 11:00:45.184367
Prev Next
