UC Berkeley
Intelligent Intersections
Total processed: 737591 intersections
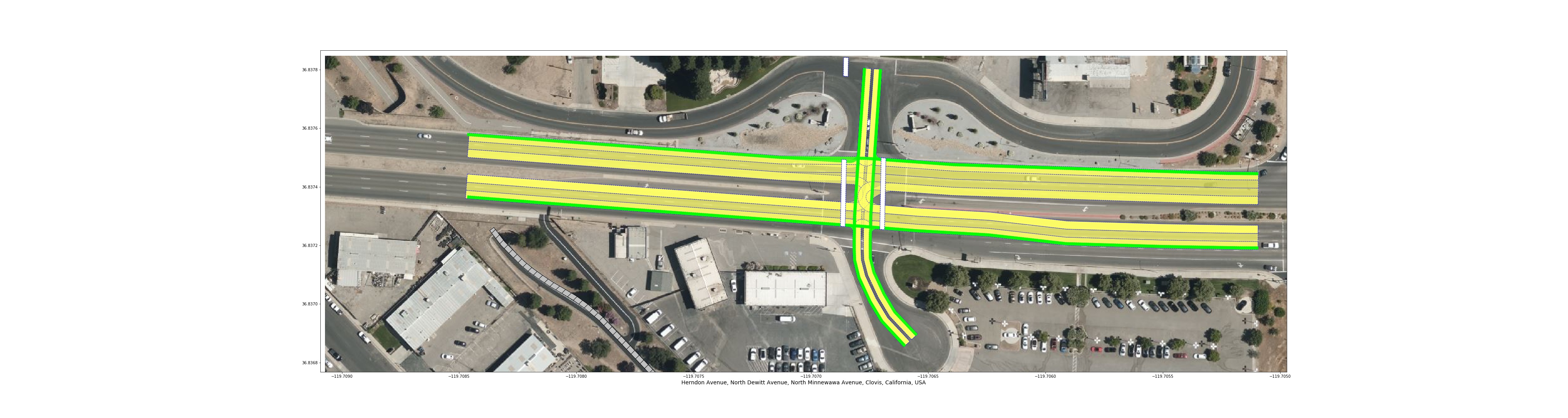
Herndon_Avenue, North_Dewitt_Avenue, North_Minnewawa_Avenue, Clovis, CA, USA
- approach_counts = {'oneway': 2, 'twoway': 3, 'singleway': 2}
- approach_max_speed_limit = 25 mph
- approach_min_speed_limit = 25 mph
- approach_street_types = {'unclassified': 1, 'motorway_link': 1, 'primary': 1, 'residential': 1, 'cycleway': 5, 'track': 1}
- diameter = 16.78230757659
- distance_to_next_intersection = 55.88768025068675
- download = https://iit-intersections.s3-us-west-1.amazonaws.com/USA/CA/Clovis/Herndon_Avenue-x-North_Dewitt_Avenue-x-North_Minnewawa_Avenue.json
- exit_counts = {'oneway': 2, 'twoway': 3, 'singleway': 0}
- exit_max_speed_limit = 25 mph
- exit_min_speed_limit = 25 mph
- exit_street_types = {'unclassified': 1, 'primary': 1, 'residential': 1, 'cycleway': 5}
- max_angle = 173.83481724841414
- max_curvature = 0.8611920510942509
- max_number_of_lanes_in_approach = 4
- max_number_of_lanes_in_exit = 4
- min_curvature = 0.0
- min_number_of_lanes_in_approach = 1
- min_number_of_lanes_in_exit = 1
- number_of_approaches = 7
- number_of_bus/trolley_stops = 0
- number_of_center_bicycle_approaches = 0
- number_of_center_bicycle_exits = 0
- number_of_exits = 5
- number_of_railway_approaches = 1
- number_of_railway_exits = 0
- number_of_right_side_bicycle_approaches = 5
- number_of_right_side_bicycle_exits = 5
- number_of_tram/train_stops = 0
- pedestrian_signal_present = None
- shortest_distance_to_railway_crossing = 140.02048158848447
- signal_present = yes
- stop_sign = no
- subway_station_present = no
- timestamp = 2020-06-10 21:24:30.043082
Prev Next
