UC Berkeley
Intelligent Intersections
Total processed: 737591 intersections
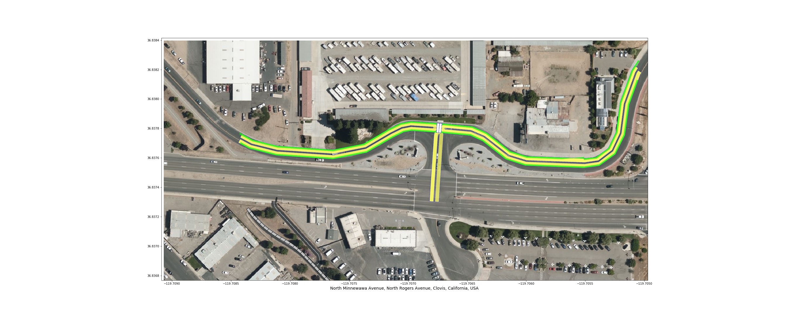
North_Minnewawa_Avenue, North_Rogers_Avenue, Clovis, CA, USA
- approach_counts = {'oneway': 0, 'twoway': 3, 'singleway': 1}
- approach_max_speed_limit = 25 mph
- approach_min_speed_limit = 25 mph
- approach_street_types = {'residential': 2, 'motorway_link': 1, 'cycleway': 3, 'track': 1}
- diameter = 206.42717941444965
- distance_to_next_intersection = 142.37446637222658
- download = https://iit-intersections.s3-us-west-1.amazonaws.com/USA/CA/Clovis/North_Minnewawa_Avenue-x-North_Rogers_Avenue.json
- exit_counts = {'oneway': 0, 'twoway': 3, 'singleway': 0}
- exit_max_speed_limit = 25 mph
- exit_min_speed_limit = 25 mph
- exit_street_types = {'residential': 2, 'cycleway': 3}
- max_angle = 179.21122532127958
- max_curvature = 1.3536299101898257
- max_number_of_lanes_in_approach = 1
- max_number_of_lanes_in_exit = 1
- min_curvature = 0.006976014392130804
- min_number_of_lanes_in_approach = 1
- min_number_of_lanes_in_exit = 1
- number_of_approaches = 4
- number_of_bus/trolley_stops = 0
- number_of_center_bicycle_approaches = 0
- number_of_center_bicycle_exits = 0
- number_of_exits = 3
- number_of_railway_approaches = 1
- number_of_railway_exits = 0
- number_of_right_side_bicycle_approaches = 3
- number_of_right_side_bicycle_exits = 3
- number_of_tram/train_stops = 0
- pedestrian_signal_present = None
- shortest_distance_to_railway_crossing = 155.77408043349595
- signal_present = yes
- stop_sign = no
- subway_station_present = no
- timestamp = 2020-06-10 21:43:01.429943
Prev Next
