UC Berkeley
Intelligent Intersections
Total processed: 737591 intersections
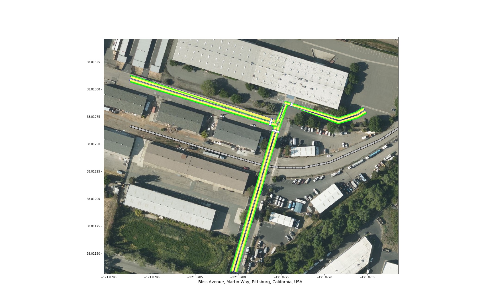
Bliss_Avenue, Martin_Way, Pittsburg, CA, USA
- approach_counts = {'oneway': 0, 'twoway': 3, 'singleway': 0}
- approach_max_speed_limit = 25 mph
- approach_min_speed_limit = 25 mph
- approach_street_types = {'unclassified': 1, 'residential': 1, 'cycleway': 3, 'track': 1}
- diameter = 37.672077213557884
- distance_to_next_intersection = -1
- download = https://iit-intersections.s3-us-west-1.amazonaws.com/USA/CA/Pittsburg/Bliss_Avenue-x-Martin_Way.json
- exit_counts = {'oneway': 0, 'twoway': 3, 'singleway': 0}
- exit_max_speed_limit = 25 mph
- exit_min_speed_limit = 25 mph
- exit_street_types = {'unclassified': 1, 'residential': 1, 'cycleway': 3, 'track': 2}
- max_angle = 89.53079069764806
- max_curvature = 1.3039316192918868
- max_number_of_lanes_in_approach = 1
- max_number_of_lanes_in_exit = 1
- min_curvature = 4.8864526801603627e-05
- min_number_of_lanes_in_approach = 1
- min_number_of_lanes_in_exit = 1
- number_of_approaches = 3
- number_of_bus/trolley_stops = 0
- number_of_center_bicycle_approaches = 0
- number_of_center_bicycle_exits = 0
- number_of_exits = 3
- number_of_railway_approaches = 1
- number_of_railway_exits = 1
- number_of_right_side_bicycle_approaches = 3
- number_of_right_side_bicycle_exits = 3
- number_of_tram/train_stops = 0
- pedestrian_signal_present = None
- shortest_distance_to_railway_crossing = 43.278995642328894
- signal_present = None
- stop_sign = None
- subway_station_present = no
- timestamp = 2020-06-08 19:44:55.780381
Prev Next
