UC Berkeley
Intelligent Intersections
Total processed: 737591 intersections
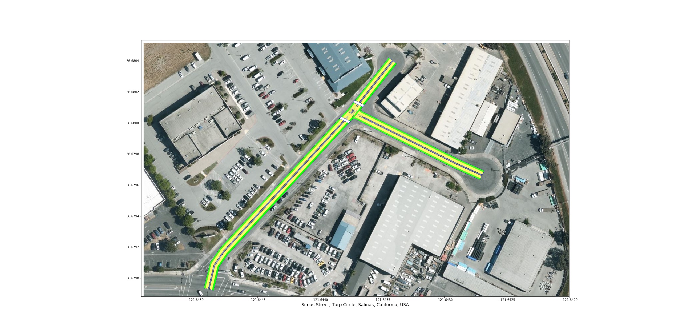
Simas_Street, Tarp_Circle, Salinas, CA, USA
- approach_counts = {'oneway': 0, 'twoway': 3, 'singleway': 1}
- approach_max_speed_limit = 25 mph
- approach_min_speed_limit = 25 mph
- approach_street_types = {'residential': 2, 'motorway_link': 1, 'cycleway': 3}
- diameter = 17.17689225773212
- distance_to_next_intersection = 144.64183343943986
- download = https://iit-intersections.s3-us-west-1.amazonaws.com/USA/CA/Salinas/Simas_Street-x-Tarp_Circle.json
- exit_counts = {'oneway': 0, 'twoway': 3, 'singleway': 0}
- exit_max_speed_limit = 25 mph
- exit_min_speed_limit = 25 mph
- exit_street_types = {'residential': 2, 'cycleway': 3}
- max_angle = 130.40082773769495
- max_curvature = 0.17984856979807376
- max_number_of_lanes_in_approach = 1
- max_number_of_lanes_in_exit = 1
- min_curvature = 0.0
- min_number_of_lanes_in_approach = 1
- min_number_of_lanes_in_exit = 1
- number_of_approaches = 4
- number_of_bus/trolley_stops = 0
- number_of_center_bicycle_approaches = 0
- number_of_center_bicycle_exits = 0
- number_of_exits = 3
- number_of_railway_approaches = 0
- number_of_railway_exits = 0
- number_of_right_side_bicycle_approaches = 3
- number_of_right_side_bicycle_exits = 3
- number_of_tram/train_stops = 0
- pedestrian_signal_present = None
- shortest_distance_to_railway_crossing = -1
- signal_present = None
- stop_sign = None
- subway_station_present = no
- timestamp = 2020-06-03 02:21:03.327646
Prev Next
