UC Berkeley
Intelligent Intersections
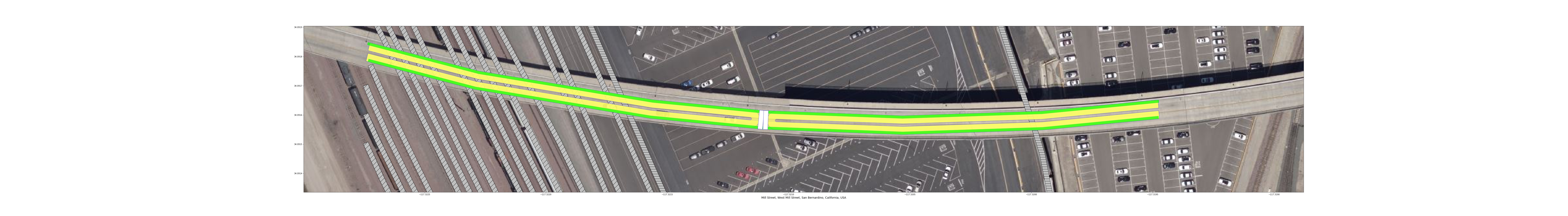
Total processed: 737591 intersections
- approach_counts = {'oneway': 0, 'twoway': 3, 'singleway': 0}
- approach_max_speed_limit = 25 mph
- approach_min_speed_limit = 25 mph
- approach_street_types = {'secondary': 2, 'cycleway': 2, 'track': 9}
- diameter = 152.16902811531187
- distance_to_next_intersection = -1
- download = https://iit-intersections.s3-us-west-1.amazonaws.com/USA/CA/San_Bernardino/Mill_Street-x-West_Mill_Street.json
- exit_counts = {'oneway': 0, 'twoway': 3, 'singleway': 0}
- exit_max_speed_limit = 25 mph
- exit_min_speed_limit = 25 mph
- exit_street_types = {'secondary': 2, 'cycleway': 2, 'track': 10}
- max_angle = 11.334209484967857
- max_curvature = 0.059472706558670194
- max_number_of_lanes_in_approach = 1
- max_number_of_lanes_in_exit = 1
- min_curvature = 0.05088489018298622
- min_number_of_lanes_in_approach = 1
- min_number_of_lanes_in_exit = 1
- number_of_approaches = 2
- number_of_bus/trolley_stops = 0
- number_of_center_bicycle_approaches = 0
- number_of_center_bicycle_exits = 0
- number_of_exits = 2
- number_of_railway_approaches = 4
- number_of_railway_exits = 5
- number_of_right_side_bicycle_approaches = 2
- number_of_right_side_bicycle_exits = 2
- number_of_tram/train_stops = 0
- pedestrian_signal_present = None
- shortest_distance_to_railway_crossing = 112.08582132683205
- signal_present = None
- stop_sign = None
- subway_station_present = no
- timestamp = 2020-06-18 14:21:59.900117
Prev Next
