UC Berkeley
Intelligent Intersections
Total processed: 737591 intersections
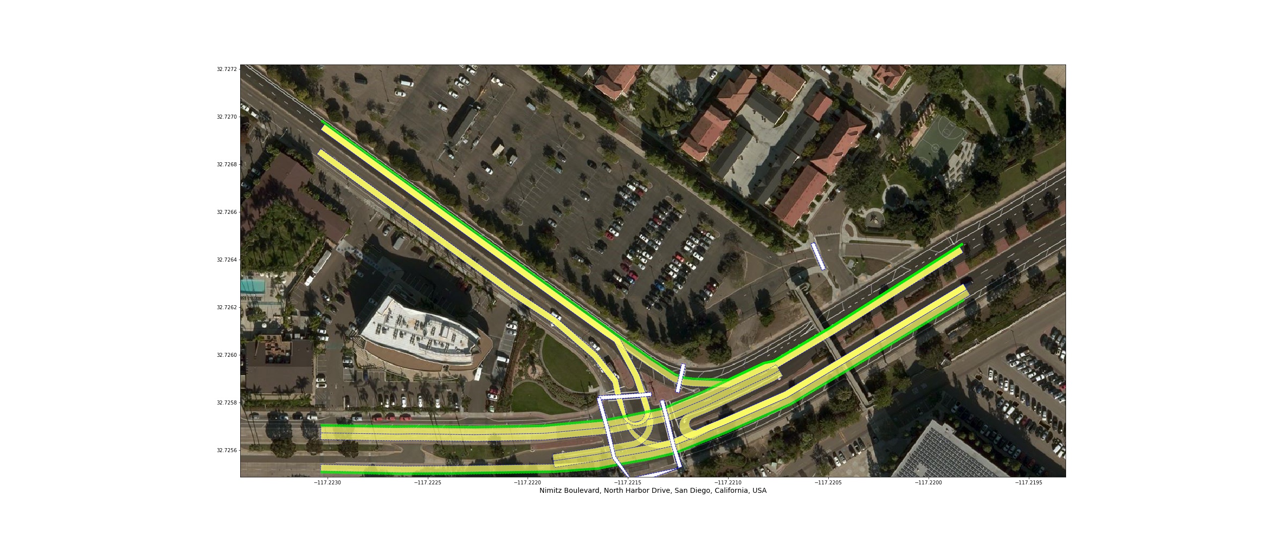
Nimitz_Boulevard, North_Harbor_Drive, San_Diego, CA, USA
- approach_counts = {'oneway': 3, 'twoway': 0, 'singleway': 1}
- approach_max_speed_limit = 45 mph
- approach_min_speed_limit = 25 mph
- approach_street_types = {'primary_link': 1, 'primary': 2, 'cycleway': 4}
- diameter = 238.75298189081096
- distance_to_next_intersection = -1
- download = https://iit-intersections.s3-us-west-1.amazonaws.com/USA/CA/San_Diego/Nimitz_Boulevard-x-North_Harbor_Drive.json
- exit_counts = {'oneway': 3, 'twoway': 0, 'singleway': 1}
- exit_max_speed_limit = 45 mph
- exit_min_speed_limit = 25 mph
- exit_street_types = {'primary': 2, 'cycleway': 4}
- max_angle = 148.741982694378
- max_curvature = 0.5462225208117252
- max_number_of_lanes_in_approach = 3
- max_number_of_lanes_in_exit = 3
- min_curvature = 0.0
- min_number_of_lanes_in_approach = 1
- min_number_of_lanes_in_exit = 1
- number_of_approaches = 4
- number_of_bus/trolley_stops = 0
- number_of_center_bicycle_approaches = 0
- number_of_center_bicycle_exits = 0
- number_of_exits = 4
- number_of_railway_approaches = 0
- number_of_railway_exits = 0
- number_of_right_side_bicycle_approaches = 4
- number_of_right_side_bicycle_exits = 4
- number_of_tram/train_stops = 0
- pedestrian_signal_present = None
- shortest_distance_to_railway_crossing = -1
- signal_present = None
- stop_sign = None
- subway_station_present = no
- timestamp = 2020-06-21 15:07:52.265898
Prev Next
